About 618 Farmer St
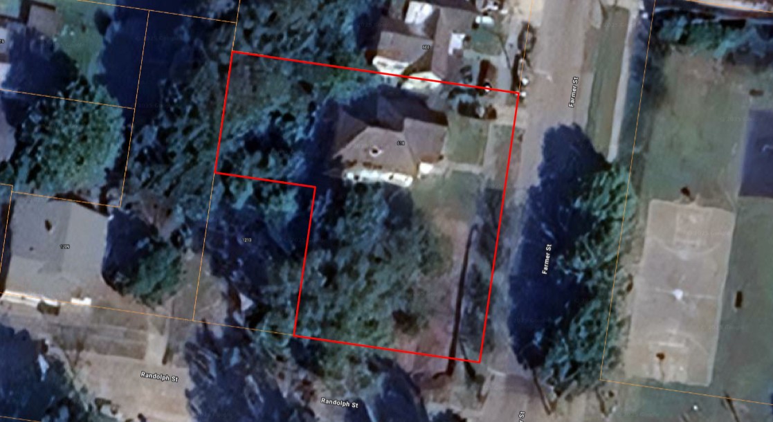
Biggest lot on the block. 0.35 acre lot. The house was recently demolished. May have a demo assessment.
Features of 618 Farmer St
| Parcel # | 094E 13 262005014201 |
|---|---|
| Price | $1,250 |
| Bathrooms | 0.00 |
| Type | Residential Lot |
| Status | Unknown |
Community Information
| Address | 618 Farmer St |
|---|---|
| City | Vicksburg |
| County | Warren |
| State | MS |
| Zip Code | 39183 |
Interior
| Hardwood Floors | No |
|---|---|
| Fireplace | No |
Exterior
| Lot Description | .035 acres |
|---|---|
| Fenced Yard | No |